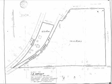
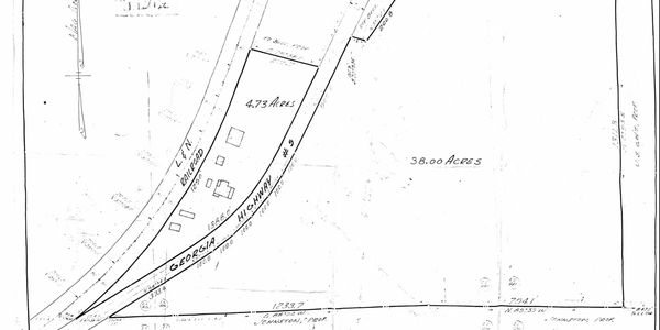
Generational Development Site Opportunity! This site sits directly across the street from the newly relocated Morgan's Ace Hardware. Also sits on newly erected 3 way traffic light. Prime opportunity to develop a variety of uses including mixed-use, town-homes, single-family homes, office, self-storage, offices, retail, single-tenant, etc, etc, etc..






Located directly across the street from Woodstock Knoll Subdivision and brand new ACE Hardware.


DELZA Properties
2470 Windy Hill Rd Suite #256 Marietta, GA 30067
Direct: (770) 984-1787 Mobile: (404) 580-8885